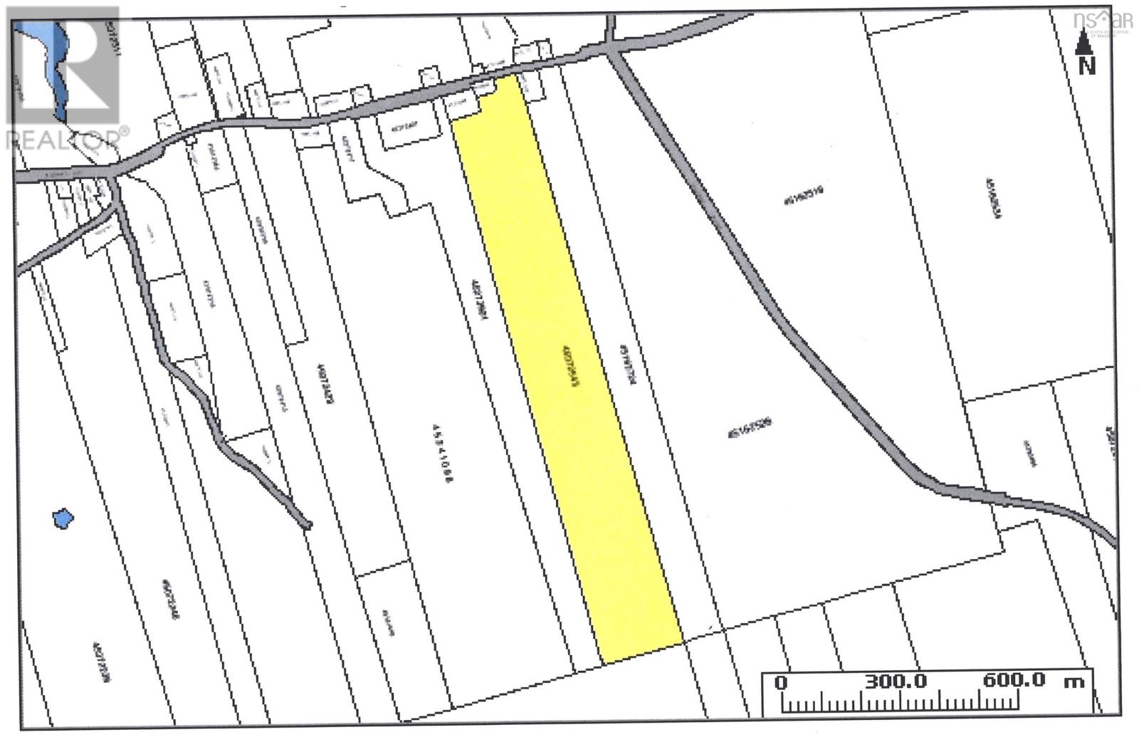
Lot Hwy 215 Minasville, Nova Scotia B0N 2R0
Acreage
$79,900
59 Acres in Minasville. This lot is partially wooded and has been cut over the years. Purchase as an investment or maybe plan to build a cottage. With this much acreage you could really get away from it all in northern Hants County. Close to the amazing Minas Basin and the world's highest tides. The only limitation is your imagination. (id:40687)
Property Details
| MLS® Number | 202511645 |
| Property Type | Vacant Land |
| Community Name | Minasville |
| Features | Treed |
Building
| Utility Water | None |
Parking
| None |
Land
| Acreage | Yes |
| Sewer | No Sewage System |
| Size Irregular | 59 |
| Size Total | 59 Ac |
| Size Total Text | 59 Ac |
https://www.realtor.ca/real-estate/28339672/lot-hwy-215-minasville-minasville
Contact Us
Contact us for more information


