Lot 3 Highway 19, Hawleys Hill Mabou, Nova Scotia B0E 1X0
Acreage
$54,000
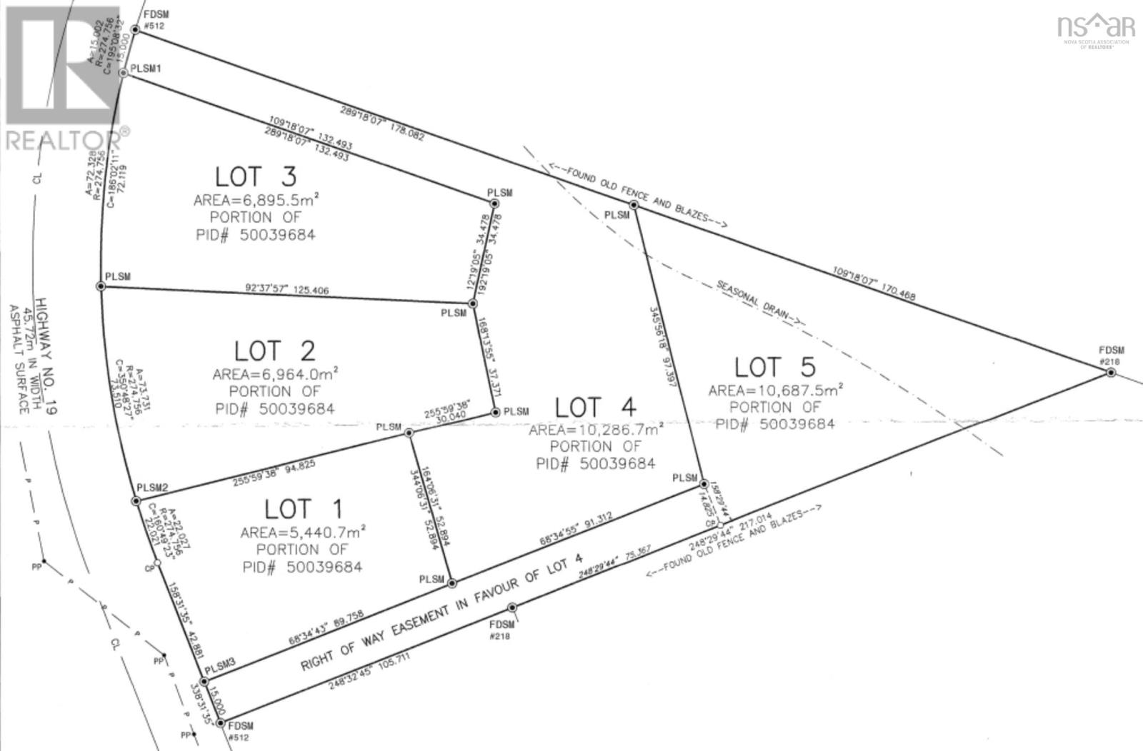
Opportunity awaits! Lot 3 totals 1.70 acres along Highway 19 in Hawleys Hill. This is a surveyed parcel with views of Smithville, offering a gradual slope, while the majority of the land is cleared and prepped for building. A buffer of trees remains between Lot 2 and 3, to allow privacy from your neighbor. A drilled well has been installed, and a partial driveway is in place. Power is available across the road. Located just outside of the community of Mabou, and about 15 minutes from Inverness, home of Cabot Links and Cabot Cliffs golf courses, all local amenities are close by. Welcome home, to Mabou! (id:40687)
Property Details
| MLS® Number | 202424380 |
| Property Type | Vacant Land |
| Community Name | Mabou |
| Features | Sloping, Partially Cleared |
Building
| Utility Water | Drilled Well |
Parking
| Gravel |
Land
| Acreage | Yes |
| Sewer | No Sewage System |
| Size Irregular | 1.7039 |
| Size Total | 1.7039 Ac |
| Size Total Text | 1.7039 Ac |
https://www.realtor.ca/real-estate/27528609/lot-3-highway-19-hawleys-hill-mabou-mabou
Contact Us
Contact us for more information






















