Lot 11 Westside Loch Lomond Road W Loch Lomond, Nova Scotia B2E 1C6

Waterfront On Lake Acreage Not Landscaped

$54,000

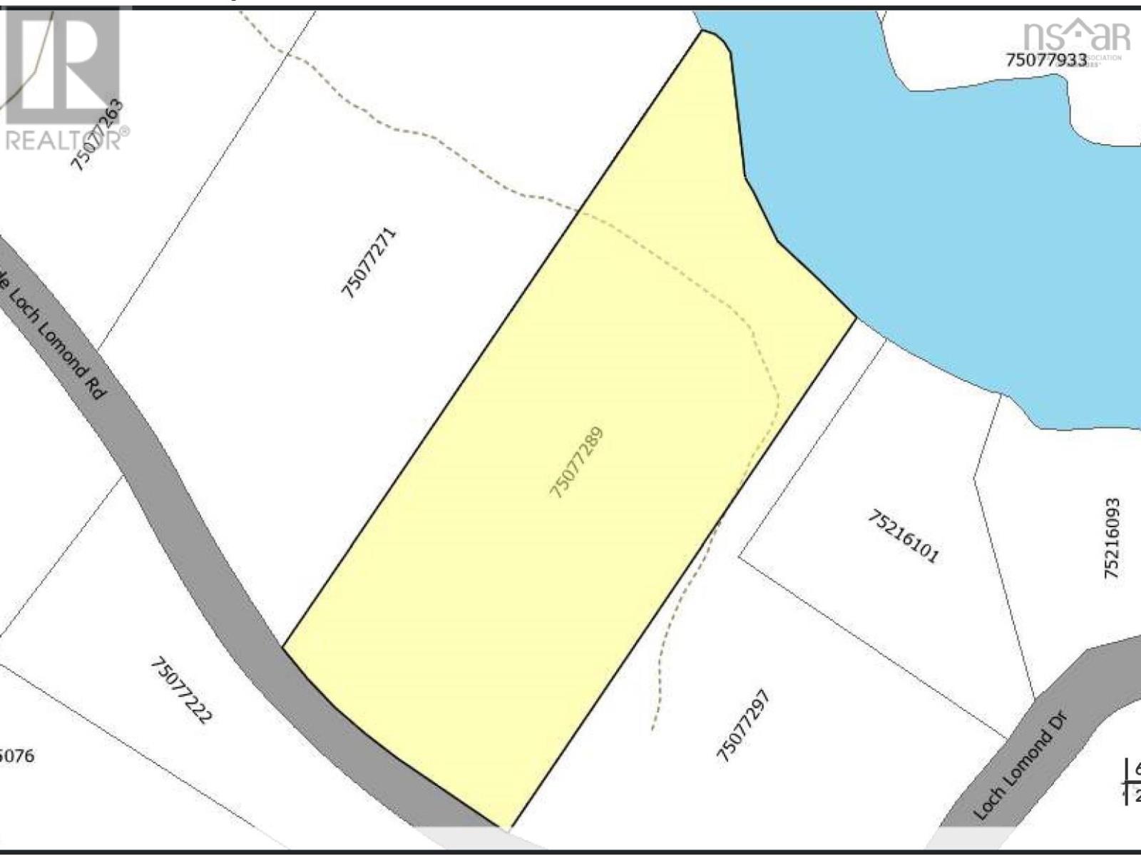
Private Waterfront Lot 11 on Loch Lomond Lake Approx. 8.63 Acres (Off Grid) Looking for a peaceful and private freshwater retreat? This approx. 8.63-acre lot offers an impressive approx. 478 feet of pristine shoreline on Loch Lomond Lake in Richmond County, Cape Breton. Whether youre dreaming of a seasonal cottage or a year-round home, this property provides the perfect natural setting. Loch Lomond is a beautiful and serene freshwater lake known for its clear waters, excellent boating and fishing, and quiet atmosphereideal for relaxing, paddling, or enjoying nature. The area is popular for summer cottages and private getaways, yet also suited for full-time living. Approx. 404 feet of road frontage along West Side Loch Lomond Rd - Public Road Subdivision Plan on File. PDCA Approved and Land Registered. Free of restrictive covenants or easements. Maintained year-round with public winter plowing by Nova Scotia Public Works. Land Use: Resource Taxable (vs. Residential) no non-resident deed transfer tax - Zoned Rural - Survey available original subdivision plan filed in 1980 (Plan No. 1202). If youre seeking an affordable and peaceful property with ample privacy in a naturally stunning location, this is it. Exact Map Location: Copy and paste into your browser: 45.744413°, -60.613056° (no street view) For full listing details: Search Realtor.ca MLS® Number 202415085 (Drone Footage Link on Lising) (id:40687)

Property Details

MLS® Number 202415085
Property Type Vacant Land
Community Name Loch Lomond
Features Treed, Hardwood Bush, Softwood Bush
View Type Lake View
Water Front Type Waterfront On Lake

Building

Utility Water None

Parking

None

Land

Acreage Yes
Landscape Features Not Landscaped
Sewer No Sewage System
Size Irregular 8.63
Size Total 8.63 Ac
Size Total Text 8.63 Ac

https://www.realtor.ca/real-estate/27096515/lot-11-westside-loch-lomond-road-w-loch-lomond-loch-lomond

Contact Us

Contact us for more information

Your Favourites

 

No Favourites Found