1 Bathroom
1,200 ft2
Waterfront On River
Acreage
$482,500
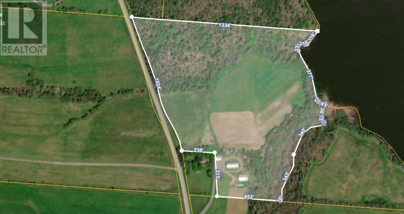
Discover the potential of this versatile 6-acre property, ideal for creating your own hobby farm or the start of your own perfect retreat tailored to your needs. A proposed potential plan for subdivision is available. The property includes a farm market building, which offers a blank canvas, ready for your personal touch to become a charming unique family home. Additional structures include a large cement storage building and a spacious metal enclosed barn with a dirt floor, providing ample space for various uses and lots of storage possibilities. Explore the possibilities of this property, priced at $482,500 for the 6 +/- acres and outbuildings. If you are looking to expand the acreage from the 6 +/- acre hobby farm than for an additional $426,150 you can own the additional 21-acre property which boasts over 500 feet of picturesque Middle River of Pictou waterfront and 1000 feet of road frontage. For those desiring even more space, the additional 21 +/- acreage . Explore the endless possibilities and make this beautiful property your own! (id:40687)
Property Details
|
MLS® Number
|
202418089 |
|
Property Type
|
Agriculture |
|
Community Name
|
Alma |
|
Amenities Near By
|
Shopping, Place Of Worship, Beach |
|
Community Features
|
Recreational Facilities, School Bus |
|
Farm Type
|
Farm, Hobby Farm, Mixed |
|
Features
|
Treed |
|
Water Front Type
|
Waterfront On River |
Building
|
Bathroom Total
|
1 |
|
Appliances
|
None |
|
Basement Type
|
Unknown |
|
Exterior Finish
|
Steel |
|
Flooring Type
|
Concrete, Other |
|
Half Bath Total
|
1 |
|
Size Interior
|
1,200 Ft2 |
|
Total Finished Area
|
1200 Sqft |
|
Utility Water
|
Dug Well |
Parking
Land
|
Acreage
|
Yes |
|
Land Amenities
|
Shopping, Place Of Worship, Beach |
|
Size Irregular
|
27 |
|
Size Total
|
27 Ac |
|
Size Total Text
|
27 Ac |
Utilities
|
Cable
|
Unknown |
|
Electricity
|
Unknown |
|
DSL*
|
Unknown |
|
Telephone
|
Unknown |
https://www.realtor.ca/real-estate/27226366/284-alma-road-alma-alma