Lot 2 Highway 19, Hawleys Hill Mabou, Nova Scotia B0E 1X0

Acreage

$54,000

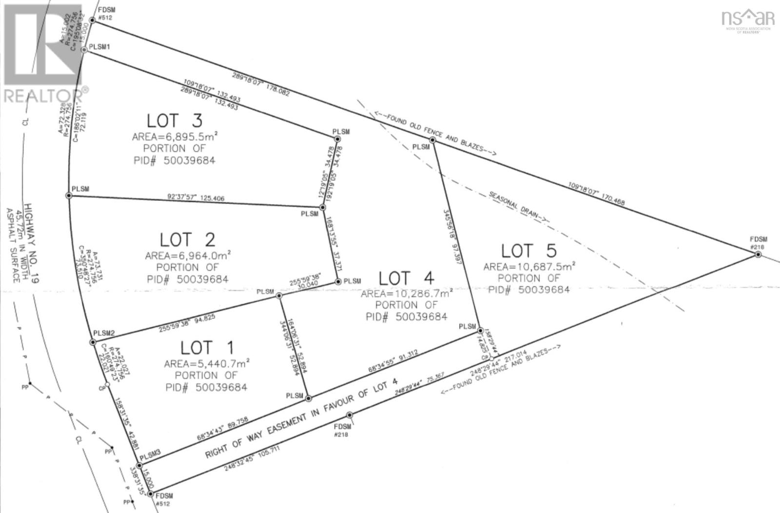
Opportunity awaits! Lot 2 is a 1.72 acre surveyed lot, boasting views of the Smithville hills. This property slopes gently away from Highway 19 in Hawleys Hill, while the majority of the land is cleared and prepped for building. A buffer of trees remains between Lot 2 and 3, to allow privacy from your neighbor. A drilled well has been installed, and a partial driveway is in place. Power is available at the neighboring property, and across the road. Located just outside of the community of Mabou, and about 15 minutes from Inverness, home of Cabot Links and Cabot Cliffs golf courses, all local amenities are close by. This property is ideal for a young family looking to build or plant roots in Mabou - come see it for yourself today! (id:40687)

Property Details

MLS® Number 202424379
Property Type Vacant Land
Community Name Mabou
Features Sloping, Partially Cleared

Building

Utility Water Drilled Well

Parking

Gravel

Land

Acreage Yes
Sewer No Sewage System
Size Irregular 1.7208
Size Total 1.7208 Ac
Size Total Text 1.7208 Ac

https://www.realtor.ca/real-estate/27528608/lot-2-highway-19-hawleys-hill-mabou-mabou

Contact Us

Contact us for more information

Your Favourites

 

No Favourites Found